1051 Milledgeville Road (A-2), Milledgeville, GA 31061
For Sale
For Sale
For Sale
View All 3 Photos
View All 3 Photos
Property Description
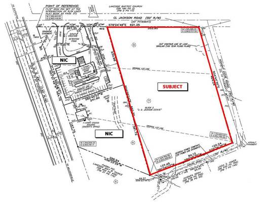
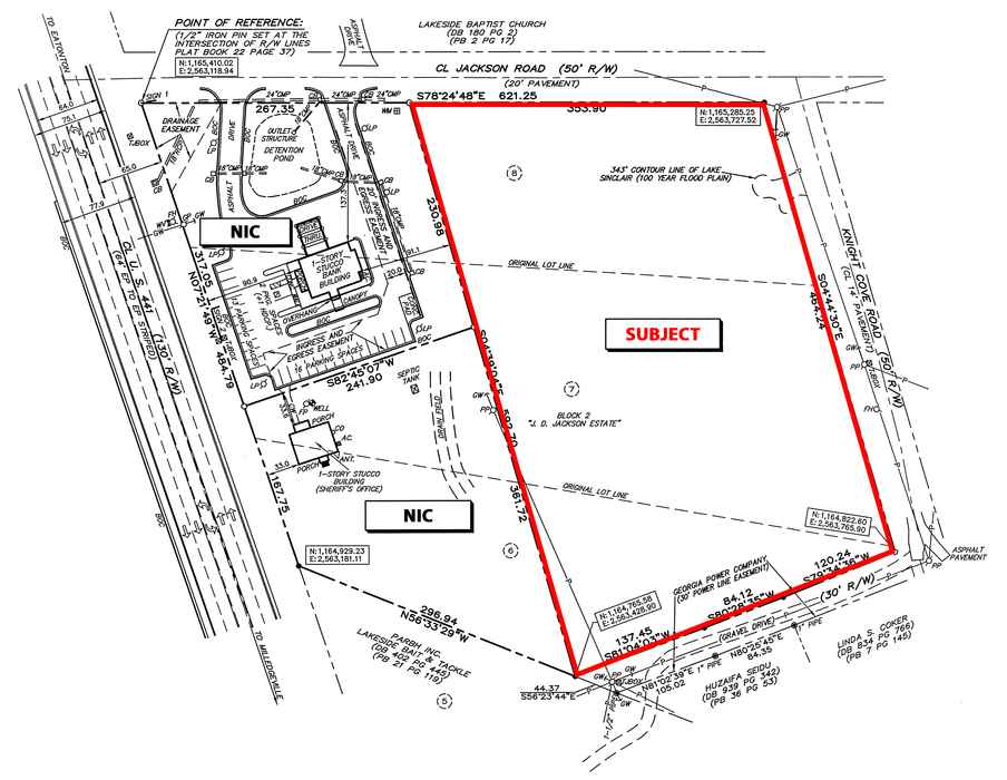
4.134 acres available for sale. High traffic area with a count of 12,400 vehicles per day coming from frontage on both Jackson Rd and Knights Rd. Zoned C-2 with septic and well available.
Location:
Property is located at the corner of Jackson Road and Knights Road, and is near the Putnam-Baldwin County line. Convenient to both Milledgeville & Eatonton. Neighbors include Putnam County Sheriff’s Office and Citgo.
Property Highlights
Convenient to both Milledgeville & Eatonton
Neighbors include Putnam County Sheriff’s Office and Citgo.
Property Details
General
- Property Name: 1051 Milledgeville Road ( A-2)
- Price: $299,000.00
- Price Per Acre: $72,397.09
- Property Status: Active
- Property Type: Land
- Sub Type: Commercial/Other
- Property Use: Vacant Property
- Class: SALE
- County: Putnam
- Zoning Description: C-2
- Lot Size: 4.13 Acres
Land
- Traffic Count: 12,400